
Dive Guide & Fish Identification for Kapalua Bay in Maui, Hawaii
All photos were taken by Mark Rein
primarily using a Panasonic Lumix DMC-TS3 camera.
You may copy or use these photos as long as you give me photo credit.
Last updated September 2013
| Kapalua Bay This is a great place to snorkel. The bay is protected from the wind and the water is usually very calm. Explore the whole bay as there are different things to discover in various places around the bay. Look closely for surprises in holes and under ledges. |
|
| Green Sea Turtle Look for these late in the day on the north end of the bay close to shore at what we call Turtle Rock. I also see them in the middle of the bay close to shore. They are very passive and gentle and tolerate people constantly following and gawking at them. I have had them swim right by me so they do not seem to be bothered by people. The best way to spot where they are is to watch for their heads to pop up to breathe. In 2013, I saw turtles of all sizes. In the prior three years, I only saw adults. |
|
| Huhumuhumunukunukuapua’a Wedge-tail Triggerfish (Hawaii State fish) Called a humu-humu for short. These can be territorially aggressive and will charge at you and nip your fins (and fingers) if they want you to move away. |
|
| Teardrop Butterflyfish |
|
| Threadfin Butterflyfish |
|
| Ornate Butterflyfish |
|
| Raccoon Butterflyfish |
|
| Fourspot Butterflyfish |
|
| Pebbled Butterflyfish |
|
| Longnose Butterflyfish |
|
| Blue Stripe Butterflyfish |
|
| Moorish Idol |
|
| Sailfin Tang |
|
| Brown Surgeonfish |
|
| Orange-band Surgeonfish |
|
| Dascyllus Domino Damsel Listen for them to chatter. They are very talkative especially when feeding. |
|
| Dascyllus Domino Damsel (juvenile) |
|
| Stripebelly Pufferfish |
|
| Porcupine Pufferfish
They are shy and I usually only see them in a cave or under a ledge. |
|
| Spotted Boxfish |
|
| Whitespotted Toby |
|
| Cornetfish |
|
| Trumpetfish |
|
| Needlefish These guys hide close to the surface where they are harder to see. |
|
| Convict Tang |
|
| Hawaiian Sergeant Major |
|
| Blackspot Sergeant |
|
| Black Durgon Triggerfish |
|
| Pink-tail triggerfish |
![]() |
| Lei triggerfish |
|
| ?? Resembles a Black Durgon Triggerfish but the fins aren't the same. Possibly a juvenile? |
|
| Orange-spine Unicornfish |
|
| Blue-spine Unicornfish |
|
| Spotted Eagle Ray |
![]() |
| Snowflake Moray Eel |
|
| Zebra Moray Eel |
|
| Whitemouth Moray Eel |
|
| Tigersnake Moray Eel |
|
| Moray Eels ?? I am not sure what kind. My guess is a juvenile Snowflake. |
|
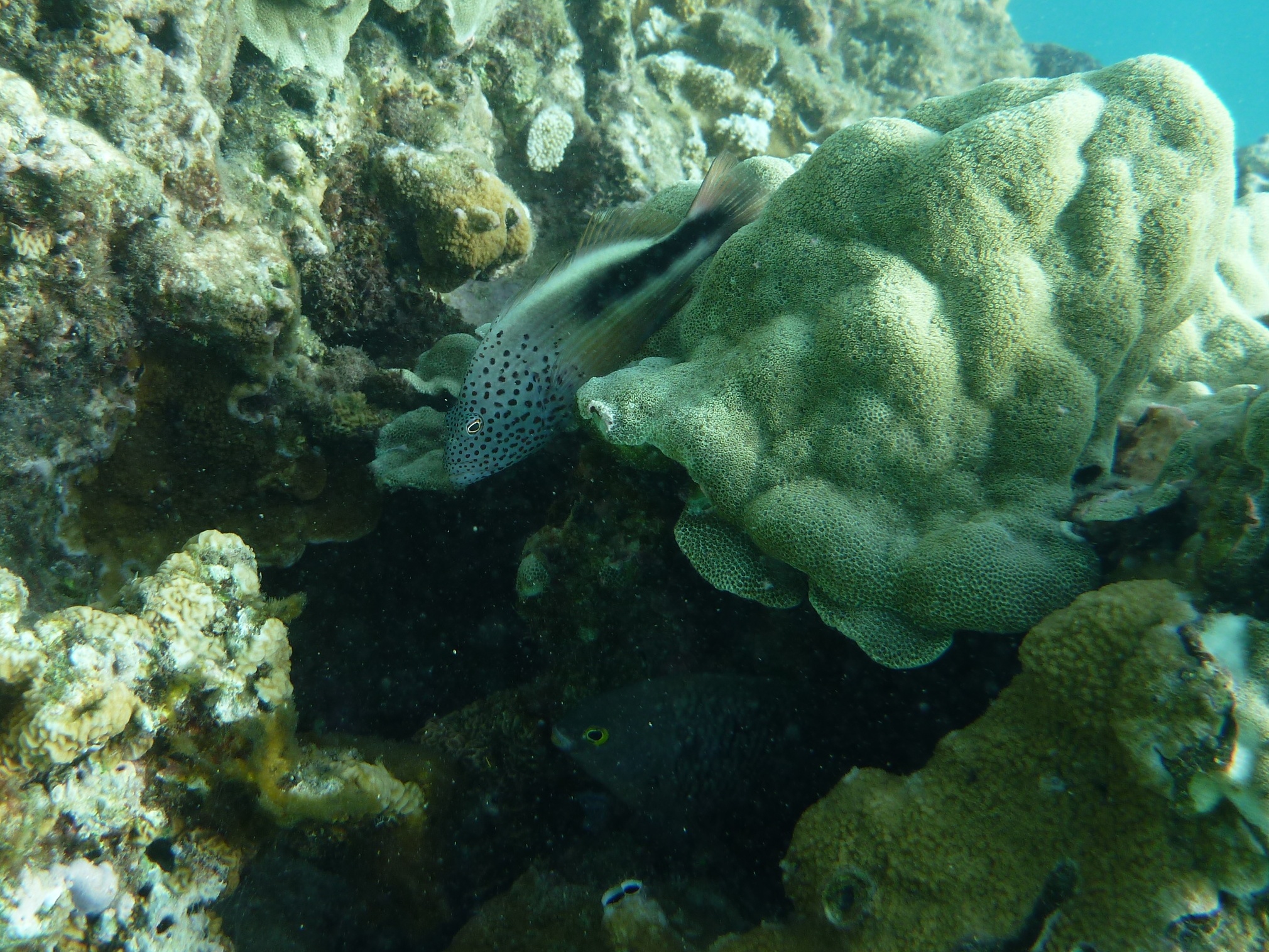
| Blackside Hawkfish |
|
| Redbarred Hawkfish |
|
| Stocky Hawkfish |
|
| Shortbodied Blenny (male) |
|
| Stareye Parrotfish (male) |
|
| Stareye Parrotfish (female) |
|
| Parrotfish (misc.) |
|
| Palenose Parrotfish |
|
| Bullethead Parrotfish |
|
| I saw huge schools of these juvenile Parrotfish. |
|
| Big Scale Soldierfish
These fish are very shy and bolt for cover if you get close. Very similar to Squirrelfish that have a slightly pointier nose. |
|
| Hawaiian Bigeye These liked to hide in the rocks and were hard to photograph. |
![]() |
| Christmas Wrasse |
![]() |
| Hawaiian Cleaner Wrasse |
![]() |
| Bird Wrasse (male) |
|
| Bird Wrasse (female) |
|
| Saddle Wrasse |
![]() |
| Belted Wrasse |
|
| Ringtail Wrasse |
|
| Pearl Wrasse |
|
| Yellowtail Coris Wrasse |
|
| Rock-Mover Wrasse |
|
| Cigar Wrasse |
|
| Manybar Goatfish |
|
| Yellowstripe Goatfish |
|
| Whitesaddle Goatfish |
|
| Blue Goatfish |
![]() |
| Yellow Tail Snapper These look a lot like Yellowstripe Goatfish except for with a yellow tail. |
|
| Oval Chromis (I only saw one school of these small fish on one corral head in the middle of the bay.) |
|
| Barred Filefish |
|
| Filefish? |
|
| Slender Lizardfish |
|
|
Bluefin
Trevally I saw these hunting in small schools and they would look under every nook & ledge. |
|
| Barracuda |
|
| Milkfish (These are very fast swimmers and are frequenty seen chasing minnows.) |
|
| Flowery Flounder (you have to look closely to see it) |
|
| Hawaiian Gregory |
|
| Scorpionfish Be careful not to step on one of these. The poisonous spines can inflict serious pain and injury. They are very hard to see when they are in the rocks. |
|
| Imperial
Nudibranch You really have to be looking to notice these little guys. |
|
| Sea Cucumber |
|
| Banded Urchin |
|
| Black Spiny Urchin These are mostly in the middle of the bay in deeper water. |
|
| Pencil Urchin |
|
| Pale Rock Boring Urchin |
|
| Collector Urchin |
|
| ?? |
|
| Clam |
|
| Cauliflower Coral |
|
| Rice Coral |
|
| Lobe Coral |
|
| Coral? |
|
| Spaghetti Worm |
|
| Alien Scull
They must snorkel here too. |
|
For corrections or comments...
![]()